

[거북밀깍지벌레 (영문명 : Ceroplastes japonicus)]
위에서 내려다본 모습이 흡사 거북이 등처럼 생겼다 하여 이름이 붙여진 거북밀깍지벌레는 - 기주식물의 범위가 매우 넓어서, 일상 생활권 내에서도 흔히 볼 수 있는 유해충 입니다.
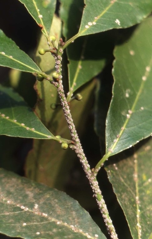
[거북밀깍지벌레 피해를 입은 꽃사과나무(좌) / 거북밀깍지벌레 약충(우)]
대표적인 기주식물로는 (감나무, 사과나무, 배나무, 살구나무, 모과나무, 석류나무 등의 과실수와) - (벚나무, 회양목, 사철나무, 장미, 목련, 배롱나무, 진달래, 동백나무 등) 우리가 주변에서 흔히 접할 수 있는 조경수를 기주식물로 삼아 번식을 진행합니다.
넓은 기주식물의 범위로 인하여 - 아파트 단지, 도로가(또는 길가), 정원 등에서도 피해가 발생하여 다수의 방제 의뢰가 들어오는 유해충 입니다.


♣병징 및 피해상태
통상적으로 1년에 1회 발생하며 - 발생 시기의 기후와 온도에 따라서 2회 이상 발생하는 경우도 더러 있습니다.
1회차 약충의 발생은 5월경~6월 상순경 발생하며, 드물긴 하지만 2회차 피해 발생은 8월경~9월 상순경 발생한다고 알려져 있습니다.


약충의 경우에는 별 모양으로 생긴 외형 덕분에 발생 여부를 쉽게 파악할수 있습니다. 초기에는 활발하게 움직여 엽면과 작은 가지들에 붙어 흡즙 피해를 입히지만, 가을~초겨울의 월동 시기로 넘어갈 쯔음에는 대부분 기주식물의 가지로 이동하여 성충의 형태를 유지합니다.
또한 대다수 깍지벌레의 가해방식이 유사하듯... 거북밀깍지벌레 역시 기주식물의 잎, 가지등에 붙어서 영양분을 흡즙하여 잎과 줄기를 시들어 말라죽게 만듭니다. 이로 인하여 조기에 잎이 떨어지거나, 수세가 불량해지는 경우가 발생하며 피해 조경수에는 흰 가루가 뿌려진듯한 외형으로 인해 - 미관에 좋지 않은 영향을 끼칩니다.


덧붙여 깍지벌레의 배설물과 감로로 인한 2차 피해로, 그을음병을 유발시키기도 합니다. (그을음병은 깍지벌레 및 진딧물의 피해를 입은 대다수의 조경수에서 거의 필연적으로 발생합니다.)
♣방제요령
[1] 연간 발생하는 시기가 1회~2회 정도로 구분되어 있지만, 거북밀깍지벌레의 약충 외형상 기주식물에서 육안으로 관찰하여 개체를 발견하기가 쉬우므로 - 개체 발견시에는 빠른 시일내 깍지벌레 전문 방제약품을 살포 하도록 합니다. 또한 개체수가 많지 않을 경우에는 직접 엽면을 문질러 잡아도 무관합니다.
방제 시기는 약충이 관찰되는 발생 초기에 (1회차 : 5월경~6월경 / 2회차 : 8월경~9월경) 깍지벌레용 전문 방제약품을 살포하여 진행 합니다.
통상적인 방제 횟수는 하단에 기재된 약제의 종류 및 희석비에 맞추어, 조경수의 피해 상태와 유해충의 개체수에따라서 1주일~10일 간격으로 / 2회~3회 정도 연속하여 방제를 진행하도록 합니다.



[2] 시중에서 구할수 있는 방제 약제로는 아미트라즈/뷰프로페진 혼합유제 (상표명 : 깍지킬 / 히어로)가 가장 대중적이며, 페니트로치온 유제 (상표명 : 스미치온 / 메프치온), 아세타미프리드 수화제 (상표명 : 모스피란) 등이 있습니다. 각종 조경수 깍지벌레에 대한 제품들은 시중에 많이 나와있으니, 구매시 적용식물과 증상에 대해 구매처와 충분한 상담을 거친 후 약제를 구비하시길 권장합니다.
[깍지킬 유제 소개] - https://blog.naver.com/cs-tree/221283364959 (클릭하시면 보실수 있습니다.)
[수목방제 약품/수목소독 약품] 깍지킬 유제 - 조경수, 나무에 발생한 깍지벌레 방제용 전문 살충제 (아미트라즈/뷰프로페진 12.5% 혼합유제)
찾아주신 모든 분들께 감사드리며! 반갑습니다 ^^대구광역시 소재 [수목방제 & 조경수관리&약제납...
blog.naver.com
[스미치온 유제 소개] - https://blog.naver.com/cs-tree/221288036882 (클릭하시면 보실수 있습니다.)
[수목방제 약품/수목소독 약품] 스미치온 유제 - 수목방제전용 광범위 종합살충제 (페니트로티온 50% 유제)
찾아주신 모든 분들께 감사드리며! 반갑습니다 ^^대구광역시 소재 [수목방제 & 조경수관리&약제납...
blog.naver.com
[3] 깍지벌레는 깍지벌레류 전문 방제약품을 사용하여 방제 작업을 진행하여야 가장 효과적으로 방제를 하실 수 있습니다. 일반 살충제로는 깍지벌레에 대한 방제 효과가 떨어지므로 방제시에는 반드시 깍지벌레류에 효과가 있는 약품인지 확인 후 방제작업을 진행하도록 합니다.

해당 [수목 병·해충 일람 / 피해사례] 포스팅에 나오는 각종 내용들은
참고문헌 및 당사에서 수집한 평균적인 수치를 기반으로 작성하였습니다.
조경수의 생육상태, 자생 환경등의 변수에 따라 해당 포스팅에 기재된
내용과 다른 부분이 생길수도 있습니다.
이에 방제작업을 진행하실 때에는 전문가의 상담 및 지도를 받으시길 바랍니다.
'업무분야 > 병·해충 피해사례' 카테고리의 다른 글
| 장미 흰가루병 - [수목 병·해충 방제정보 및 피해사례] (0) | 2020.04.09 |
|---|---|
| 소나무가루깍지벌레 - [수목 병·해충 방제정보 및 피해사례] (0) | 2020.04.09 |
| 그을음병 - [수목 병·해충 방제정보 및 피해사례] (0) | 2020.04.09 |
| 주머니 깍지벌레 (감나무) - [수목 병·해충 방제정보 및 피해사례] (0) | 2020.04.08 |
| 꽃매미 - [수목 병·해충 방제정보 및 피해사례] (0) | 2020.04.08 |